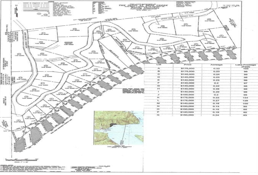
Property Description
17 Water Front Lots Available To Build
Address Map
US
MS
Tishomingo
Iuka
The Oasis At Bear Creek
38852
OASIS
LOT H
DR
0
W89° 53' 13.2''
N34° 50' 3.6''
Out of Iuka Ms. take Cr 244, also known as East Port Rd., Go approx. 5 miles and turn right on Cr 259. Go approx. 2 miles and look for sign on the left. Turn left and follow signs to the Oasis.
MLS Addon
16653
Active
: Land
See Plat
Land For Sale
LOT H OASIS DR, Iuka, Mississippi 38852
0 Bedrooms
0 Bathrooms
0 Sqft
$140,000
Listing ID #10187958
Basic Details
Property Type : Land
Listing Type : For Sale
Listing ID : 10187958
Price : $140,000
Bedrooms : 0
Bathrooms : 0
Half Bathrooms : 0
Square Footage : 0 Sqft
Year Built : 0
Lot Area : 0.28 Acre
Status : Active
Days On Market : 1
Contact Agent

